Sinner, ritorno di fiamma? L’ex fidanzata Braccini a Roma durante gli Internazionali
(Adnkronos) -
Ritorno di fiamma per Jannik Sinner? Il tennista azzurro, reduce dalla finale persa contro Carlos Alcaraz agli Internazionali d'Italia, è al centro...
Kinsella morta per glioblastoma, l’oncologo: “Cancro raro, impossibile diagnosi precoce”
(Adnkronos) - Il glioblastoma di cui soffriva la scrittrice britannica Sophie Kinsella, morta a 55 anni, "è un raro tumore al cervello per...
Morbillo, in Europa oltre 56mila casi in 3 mesi. Bassetti: “Allarme ignorato in Italia”
(Adnkronos) -
In tutta Europa i casi di morbillo - una delle malattie "più contagiose al mondo", ricordano gli esperti - continuano ad aumentare...
Roma, blocco del traffico domenica 14 dicembre: fasce orarie, chi può circolare e vie...
(Adnkronos) -
Stop al traffico a Roma a causa del troppo smog. È quanto deciso dal Campidoglio per domenica 14 dicembre, in cui...
Design: quando il Made in Italy è ritorno alle radici tra sostenibilità , paesaggio e...
(Adnkronos) - In un'epoca in cui la progettazione architettonica è sempre più chiamata a rispondere a sfide ambientali, culturali e sociali, emerge con forza...
Torino, uccide coppia di vicini e si toglie la vita
(Adnkronos) - Tragedia a Volvera, in provincia di Torino. Una lite condominiale è degenerata in aggressione provocando tre vittime. Secondo le prime informazioni infatti...
Premio Tenco, la Crusca sta con Piotta: “Labile il confine tra italiano e romano”
(Adnkronos) -
Stabilire i confini che separano il dialetto romano dall'italiano è difficile dal momento che il romanesco rispetto alla lingua italiana "si trova...
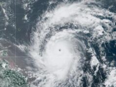
Beryl spaventa i Caraibi, mai uragano così forte a giugno
(Adnkronos) - L'urgano Beryl, il primo del 2024, aumenta di intensità e diventa di Categoria 4. Beryl, con venti che soffiano a oltre 200...
“Accuse Piotta lesive per nostra immagine”, Club Tenco dà mandato a legali
(Adnkronos) - Il Club Tenco comunica attraverso una nota di aver conferito mandato al legale Davide Perrotta per replicare fermamente alla diffida del cantante...
Ue, venti giorni per ‘blindare’ von der Leyen: astensione Meloni la aiuta
(Adnkronos) -
Il 18 luglio a Strasburgo la legislatura 2024-29 potrà iniziare davvero. Quel giorno, come ha confermato la presidente del Parlamento Europeo Roberta...











































